Super Typhoon Forces Evacuation of 1 Million in Philippines, One Dead

Published at Nov 9, 2025 - 20:56
Super Typhoon Forces Evacuation of 1 Million in Philippines, One Dead
Super Typhoon Forces Evacuation of 1 Million in Philippines, One Dead


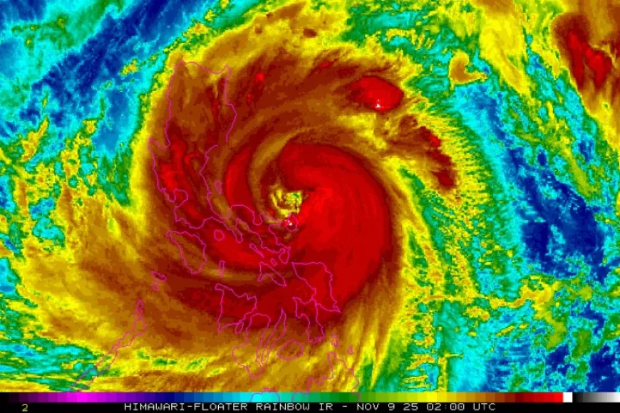
More than a million people have been evacuated and at least one person killed as floodwaters rose in the Philippines on Sunday before Typhoon Fung-wong's expected landfall on the east coast. The super typhoon, which comes just days after another storm ravaged the country, will slam into Aurora province between 8:00 pm and 11:00 pm, state weather forecaster Charmagne Varilla told AFP. With a radius spanning nearly the whole of the Philippines, Fung-wong is expected to bring wind and heavy rain to broad swathes of the archipelago nation, which last week saw more than 220 people killed by Typhoon Kalmaegi.

On Sunday, one of the already storm-stricken provinces in the central Philippines recorded the first known death from Typhoon Fung-wong. Rescuer Juniel Tagarino in Catbalogan City told AFP the body of a 64-year-old woman attempting to evacuate had been pulled from under debris and fallen trees. "Last night, the wind was so strong and the rain was heavy ... According to her family members, she might have forgotten something and went back inside her house," Tagarino said, adding her relatives were just 50 metres (yards) away when they realised she was missing.

In Aurora, where the eye of the storm is expected to make landfall, government worker Aries Ora, 34, told AFP the rain was still light as he boarded up his home in Dipaculao town with steel sheets and wooden boards. "What really scares us is that the expected landfall is at night," he said. "Unlike previous typhoons, we won't be able to clearly see the movement of the wind and what's happening around us." Schools and government offices have been ordered closed on Monday across the main island of Luzon, including capital Manila, where nearly 300 flights have been cancelled. 

Earlier Sunday, Catanduanes, a small island the state weather service said could take a "direct hit", was already being lashed by wind and rain, with storm surges sending waves hurtling over streets and floodwaters rising in some areas. "As we speak, they are feeling the impact of the typhoon, especially in Catanduanes, because the storm's eye is closest there," civil defence deputy administrator Rafaelito Alejandro said at a news briefing. "The waves started roaring around 7:00 am. When the waves hit the seawall, it felt like the ground was shaking," Edson Casarino, 33, a resident of Catanduanes' Virac town, told AFP.

Video verified by AFP showed a church in the town surrounded by floodwaters that reached halfway up its entrance. Flooding was also reported in southern Luzon's Bicol region, according to Alejandro, who later confirmed the preemptive evacuation of nearly 1.2 million people nationwide. In Guinobatan, a town of about 80,000 in the region's Albay province, verified video showed streets transformed into a raging torrent of floodwaters.

Typhoon Fung-wong is expected to bring at least 200 millimetres (eight inches) of rain to many parts of the country, according to government meteorologists. Scientists warn that storms are becoming more powerful due to human-driven climate change. Warmer oceans allow typhoons to strengthen rapidly, and a warmer atmosphere holds more moisture, meaning heavier rainfall. On Saturday, Catanduanes rushed to prepare for the onslaught, with residents tying down their houses with ropes and putting weights on their roofs.

"They decided to do our tradition of strapping down the roofs with big ropes and anchoring them on the ground, so they won't be blown away by the wind," provincial rescue official Roberto Monterola told AFP. In Sorsogon, a city in southern Luzon, some sought refuge in a church. Only days earlier, Typhoon Kalmaegi sent floodwaters rushing through the towns and cities of Cebu and Negros islands, sweeping away cars, riverside shanties and massive shipping containers.

The typhoon, the deadliest of 2025 according to disaster database EM-DAT, killed at least 224 people and left 109 missing, according to government figures updated Sunday morning. Search and rescue efforts in Cebu were suspended on Saturday due to safety concerns over the approaching super typhoon.